Vài năm nay, Nhơn Lý là điểm đến “hot” được nhiều du khách trong nước và ngoài nước tìm đến tham quan, du lịch.

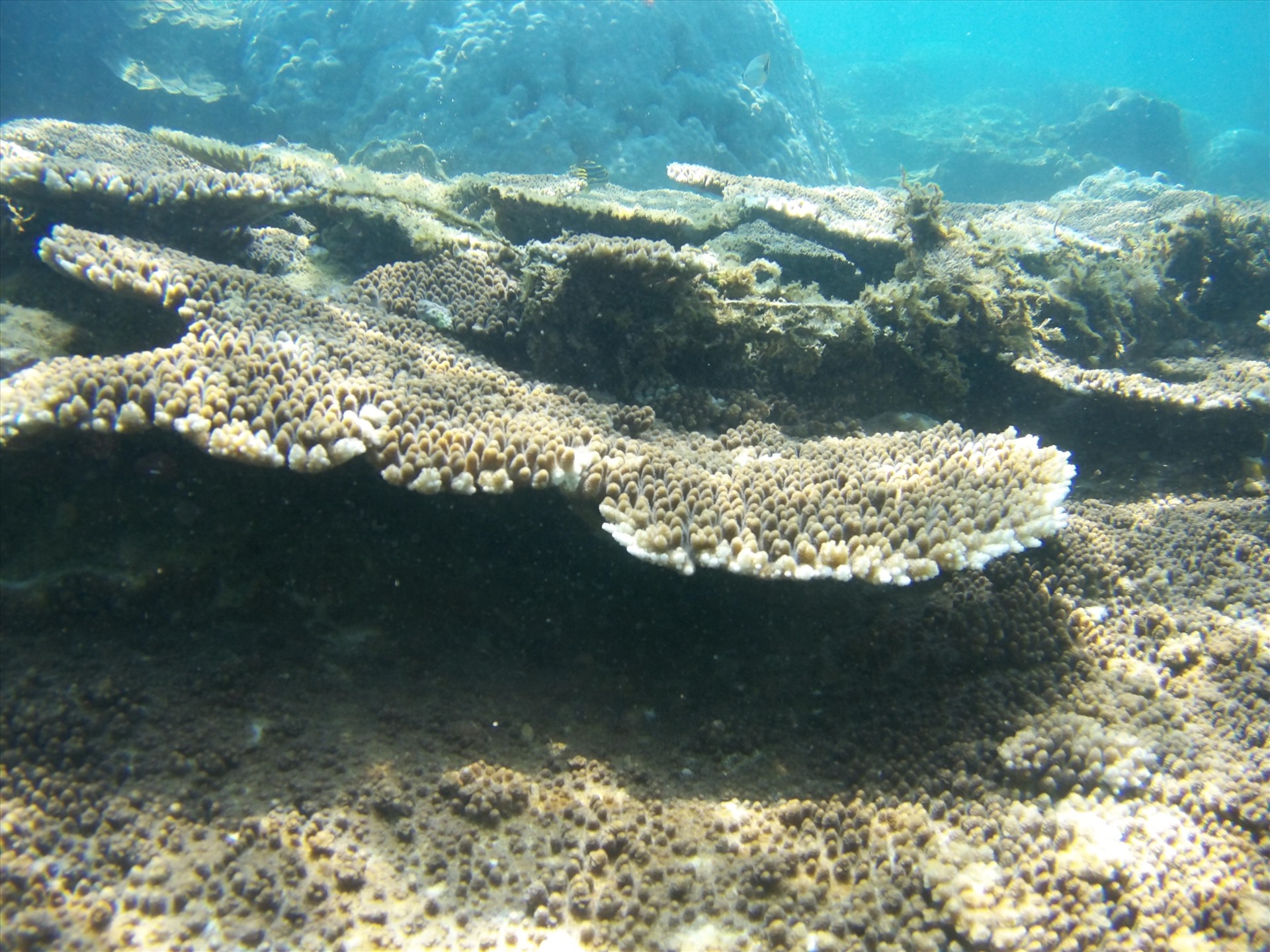
Đến xã Nhơn Lý, TP.Quy Nhơn, tỉnh Bình Định, du khách chủ yếu lựa chọn tour du lịch Kỳ Co - Eo Gió và lặn ngắm dải san hô nhiều màu sắc.

Đặc biệt, vào thời điểm du lịch ở địa phương này mới manh nha phát triển, để “chiều lòng” du khách, người dân ở đây có thể cho du khách bẻ nhánh san hô hoặc lấy đá san hô về làm quà lưu niệm khiến san hô ở khu vực giảm sụt, gãy nhiều. Ảnh: H.Đ

Bởi vậy, để bảo vệ tiềm năng du lịch, giữ gìn môi trường sinh thái cho các hòn đảo ven bờ, anh Nguyễn Hữu Đảo (thành viên nhà hàng du lịch Khánh An, xã Nhơn Lý) cùng những người dân ở địa phương và các hộ kinh doanh du lịch bàn bạc rồi đi đến thống nhất thành lập Mô hình cộng đồng quản lý bảo vệ nguồn lợi thủy sản Nhơn Lý. Ảnh: H.Đ

Vừa qua, mô hình này được UBND TP.Quy Nhơn công nhận và giao quyền quản lý khu vực biển bãi Dứa (xã Nhơn Lý) với diện tích 8ha. Ảnh: H.Đ

Hiện, mô hình có hơn 60 thành viên tham gia, gồm ngư dân, các hộ kinh doanh du lịch... Các thành viên được chia ra 3 đội: 1 đội tuyên truyền, 1 đội làm sinh kế, 1 đội bảo vệ sẽ phối hợp với Công an chính quy và Đồn Biên phòng để kiểm tra và xử lý nếu có trường hợp vi phạm. Ảnh: H.Đ

Các thành viên tham gia mô hình đều ngày ngày kiếm kế sinh nhai trên biển, bởi vậy, họ là “mắt thần” bảo vệ khu vực này. Tàu lạ vào khai thác san hô, các thuyền giã cào hay vào đánh mìn ở khu vực này sẽ bị phát hiện ngay lập tức. Ảnh: H.Đ

Bên cạnh việc tuần tra, các thành viên còn liên tục được Trung tâm Bảo tồn sinh vật biển và phát triển cộng đồng (MCD) và các tổ chức về môi trường biển tập huấn, hỗ trợ tài liệu, tư vấn chuyên môn. Ảnh: H.Đ

“Như việc bắt như thế nào cho đúng để cầu gai không sinh sôi quá mức làm nguy hại đến sự phát triển của san hô thì chẳng ai biết. Kinh nghiệm của Hòn Khô cho thấy rằng, năm đầu tiên bắt cầu gai không đúng cách, để nó tiết ra chất dịch rồi sinh sôi nảy nở, đến năm sau số lượng cầu gai lại lớn hơn” – anh Đảo chia sẻ. Ảnh: H.Đ

Theo ông Trần Kim Dương - Phó Chi cục trưởng Chi cục Thủy sản tỉnh Bình Định, cái hay của mô hình này ở chỗ dựa vào cộng đồng, để cộng đồng chung tay giải quyết các vấn đề. Ảnh: H.Đ

Cũng theo ông Dương, trên cơ sở mô hình đồng quản lý, Chi cục đã phối hợp với các đơn vị liên quan và người dân bắt đầu khôi phục lại, bảo vệ; đến nay đã giữ gìn, phát triển được hơn 150ha san hô ở vịnh Quy Nhơn. Ảnh: H.Đ

“Sau khi hình thành các mô hình bảo vệ, độ che phủ và độ đa dạng của các rạn san hô đã tăng lên. Trong năm nay, chi cục sẽ phối hợp với các địa phương hình thành nên các mô hình đồng quản lý ở Nhơn Hải, Ghềnh Ráng, Nhơn Châu” - ông Trần Kim Dương chia sẻ.
Nguyễn Tri